Solgt
Grunde UDEN byggepligt og tæt på strand sælges!
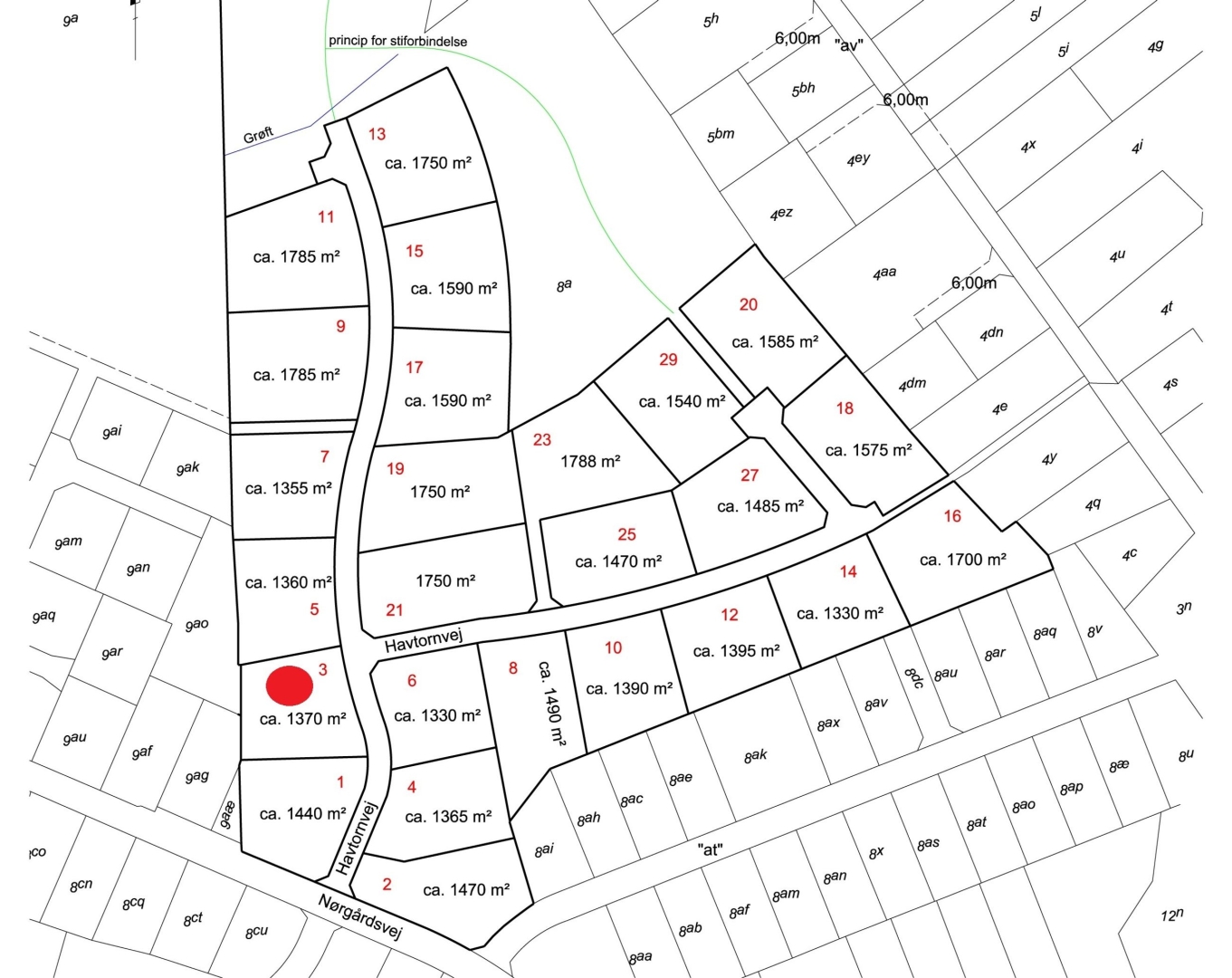
Nu sælges 25 skønne byggegrunde beliggende på Havtornvej i den nordlige del af Strandby.
Udstykningen ligger tæt på bl.a. lækker sandbadestrand med klitter og Blåt Flag samt det hyggelige havnemiljø med både en fiskeri- og lystbådehavn.
Grundene varierer i størrelse fra ca. 1.330 m² til ca. 1.785 m² og priserne starter ved kr. 395.000,00 inkl. tilslutningsbidrag til kloak, el og vand men eksl. tilslutningsbidrag til fx kabel-tv og fjernvarme.
Der vil være mulighed for at få indlagt fjernvarme. T Tilslutningsprisen inkl. stikledning er anslået til kr. 30.000,00 inkl. moms. For yderligere oplysninger henvises til Standby Varmeværk.




















